Pour accéder à la série en entier, vous devez vous logger ou demander un compte Hans Lucas en cliquant ici.
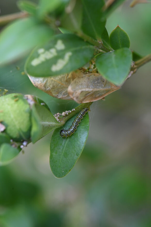
Observation d'une chenille de la pyrale du buis
Venant d’Extrême Orient et malencontreusement exportée en France, la pyrale du buis ou Cydalima perspectalisest est une espèce de papillon qui porte atteinte aux buis lorsqu’elle se trouve à l’état de chenille. En février-mars les chenilles hivernantes se réveillent et s’attaquent aux feuilles de buis pour se nourrir causant beaucoup de dégâts. jusqu’à atteindre leur stade de nymphose. Les chenilles se nourrissent exclusivement de buis (Buxus), dont elles consomment les feuilles et l'écorce.
Observation of a box tree pyralid caterpillar
Coming from the Far East and unfortunately exported to France, the box tree pyralid or Cydalima perspectalis is a species of moth that damages box trees when it is in the caterpillar stage. In February-March, the overwintering caterpillars wake up and attack the box tree leaves to feed, causing a lot of damage until they reach their pupation stage. The caterpillars feed exclusively on box trees (Buxus), consuming the leaves and bark.